Orthopädie
Viele Patienten werden in unserer Praxis vorstellig, weil sie eine Lahmheit zeigen. Oft ist bei dem Betreten des Behandlungsraumes noch nicht klar, welches Gelenk oder welcher Knochen betroffen ist. Manchmal ist sogar unklar ob und wenn ja um welche Gliedmaße es sich handelt. Auch Kopf, Wirbelsäule, Schultern und Becken können Grund für einen „unrunden Gang“ sein. Manchmal verbirgt sich aber auch kein orthopädisches sondern ein internistisches Problem dahinter. Hunde aber auch Katzen leiden im Alter außerdem oft an Arthrosen.
![]() |
![]() |
- Lahmheitsuntersuchung
- Röntgen
- Orthopädische Operationen
Lahmheitsuntersuchung
Um Klarheit zu schaffen wo das Grundproblem ihres Lieblings liegt, legen wir großen Wert auf eine vollständige Allgemeinuntersuchung und eine spezielle Lahmheitsuntersuchung mit Gangbildanalyse. So wird festgestellt, wie dem Patienten optimal geholfen werden kann und ob Ruhighaltung und Schmerzmittel ausreichen oder ob weitere Diagnostik wie Röntgen, Ultraschall und Labor oder sogar eine Operation nötig werden.
![]() |
![]() |
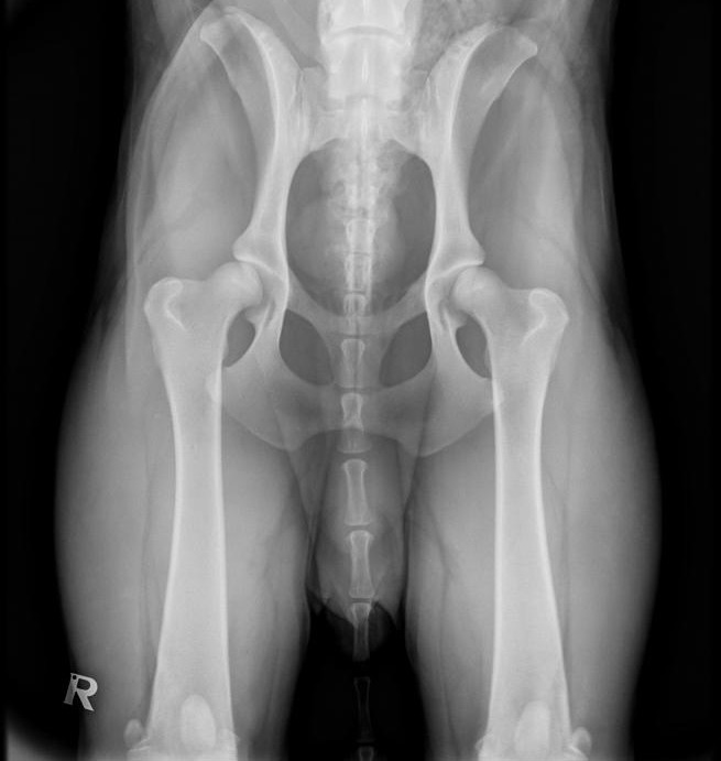
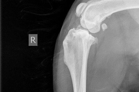
Röntgen
Ist eine bestehende Lahmheit lokalisiert, kann eine Röntgenuntersuchung sinnvoll sein, um das Ausmaß des Schadens zu ermitteln und die richtige Therapie einzuleiten. Frakturen, Luxationen und Bandabrisse sollten chirurgisch versorgt werden. Zerrungen und Prellungen benötigen meist nur Ruhe. Bei tumorverdächtigen Prozessen entscheidet das Biopsie-Ergebnis über das weitere Vorgehen.
![]() |
![]() |
![]() |
Orthopädische Operationen
Werden instabile Gelenke nicht stabilisiert, entstehen Arthrosen, die dauerhaft zu Schmerzen und Leiden führen. Neben der Versorgung von Luxationen und Bänderrissen, wie z. B. Kreuzband-Operationen am Knie, operieren wir auch eine Vielzahl von Frakturen.
Die Stabilisierung eines Kreuzbandrisses erfolgt bei uns durch verschiedene chirurgische Verfahren (TPLO, TR, TTA). Die Auswahl der für Ihr Tier am geeignetsten OP-Methode wird jeweils ausführlich mit Ihnen besprochen.
![]() |
![]() |










